Baerz & Co is een landelijk samenwerkingsverband van zorgvuldig geselecteerde boutique luxury makelaars. Samen vormen wij één netwerk, met één gedeeld aanbod. De woningen die u op onze website ziet, zijn afkomstig van alle aangesloten kantoren binnen Baerz & Co. Daardoor is niet ieder object rechtstreeks door ons kantoor in verkoop, maar door een gespecialiseerde collega binnen ons netwerk. Heeft u een woning gevonden die u aanspreekt en wilt u meer informatie? Dan brengen wij u graag persoonlijk in contact met de betreffende verkoopmakelaar, zodat u direct en zorgvuldig wordt begeleid.

WILNIS
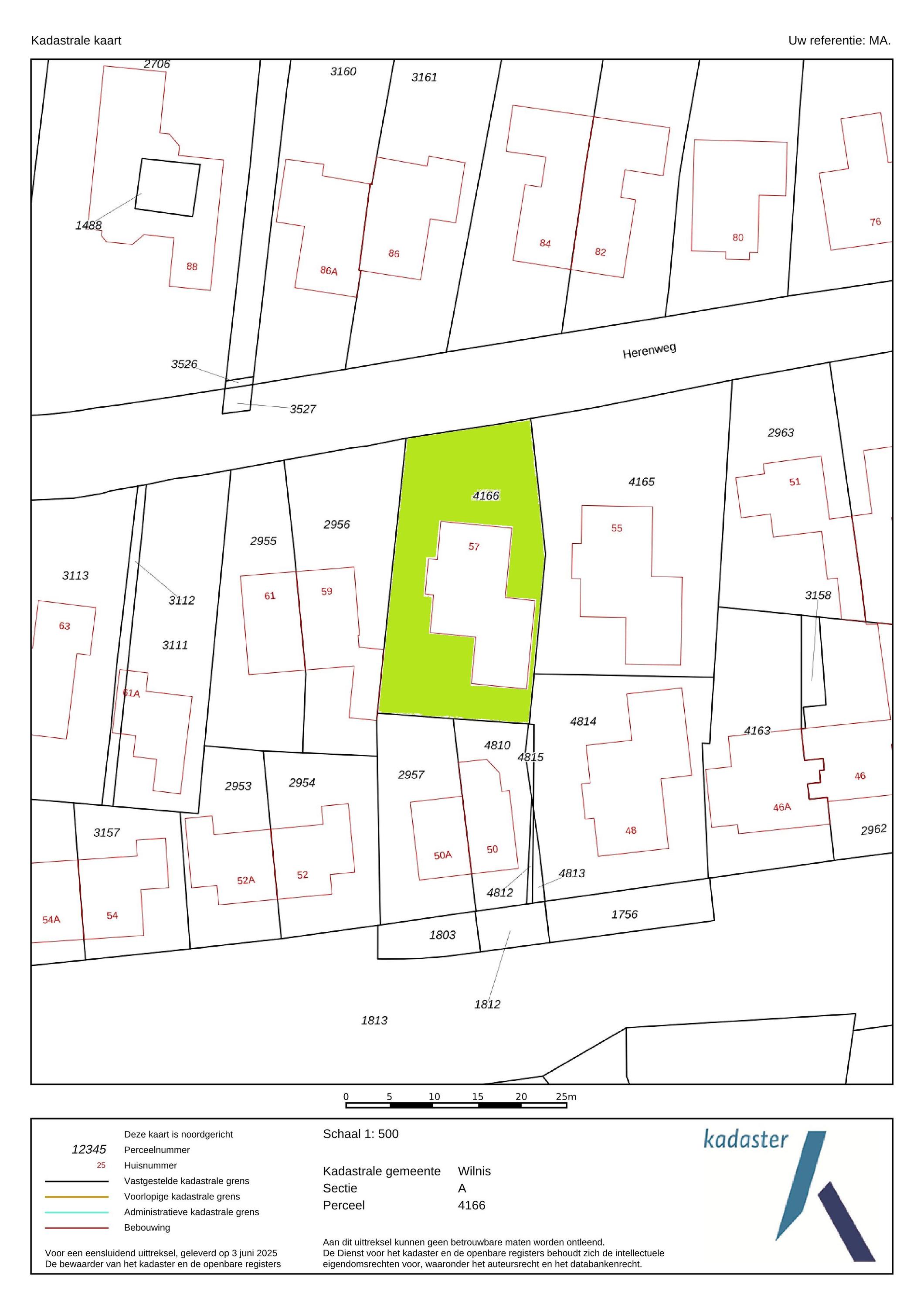
Herenweg 57 - 3648 CB
Nederland

Dirk Gerwig profile image
Dirk Gerwig
Real Estate Agent
€1.135.000 k.k.
Woonoppervlakte
217m2
Perceeloppervlakte
546m2
Slaapkamers
7

Omschrijving

Aan de sfeervolle Herenweg in Wilnis, midden in de karakteristieke lintbebouwing, staat deze uitstekend onderhouden vrijstaande villa op een royaal perceel. De woning is bereikbaar via een eigen brede brug, wat direct zorgt voor een gevoel van privacy en exclusiviteit. Door de ligging met water aan zowel de voor- als zijkant geniet u hier het hele jaar door van rust, ruimte, groen en een vrij uitzicht.

De villa is traditioneel gebouwd en kenmerkt zich door een ruime en lichte opzet. Grote raampartijen zorgen voor veel daglicht en creëren een prettige verbinding tussen binnen en buiten. De royale woonkamer vormt het hart van het huis en beschikt over een sfeervolle open haard, waardoor een comfortabele en uitnodigende leefruimte ontstaat. Aansluitend bevindt zich de ruime woonkeuken, ingericht als echte leefkeuken waar koken en samenzijn centraal staan.

De woning beschikt over maar liefst zeven slaapkamers, verdeeld over meerdere verdiepingen. Daarmee biedt deze villa volop ruimte voor grotere gezinnen, thuiswerkplekken of hobbykamers. Uniek is de aanwezigheid van twee badkamers, waarvan één op de begane grond aansluitend aan een ruime slaapkamer. Dit maakt gelijkvloers wonen mogelijk en biedt tevens een ideale oplossing voor gastenverblijf of praktijk aan huis. De tweede badkamer bevindt zich op de eerste verdieping en is eveneens volledig ingericht.

Een bijzonder praktisch onderdeel van de woning is de ruime, droge kelder met stahoogte. Deze kelder biedt uitstekende mogelijkheden als provisieruimte, wijnkelder of extra opslag en vormt daarmee een waardevolle aanvulling op de beschikbare woonruimte.

Buiten beschikt de woning over een ruime oprit met parkeergelegenheid voor vier auto’s en een aangebouwde garage. Ook op het gebied van duurzaamheid is de woning goed uitgerust: de villa is volledig geïsoleerd, voorzien van 29 zonnepanelen en beschikt over een laadpaal voor een elektrische auto.

Het perceel is grotendeels onderheid – met uitzondering van een klein gedeelte gras aan de voorzijde en een smal stuk naast de garage – wat zorgt voor een solide en stabiele basis. Rondom de woning ligt een ruime tuin met diverse mogelijkheden voor terrassen, een speelplek of een moestuin.

KENMERKEN
+ Prachtige ligging aan het water, bereikbaar via een eigen brug
+ Maar liefst zeven slaapkamers en twee complete badkamers
+ Slaapkamer met eigen badkamer op de begane grond
+ Luxe woonkeuken met hoogwaardige inbouwapparatuur
+ Diepe droge kelder met stahoogte
+ Volledig geïsoleerd en voorzien van 29 eigen zonnepanelen
+ Vloerverwarming op de gehele begane grond en in de badkamer boven
+ Garage met verwarming, elektriciteit en dakkoepel
+ Laadpaal voor elektrische auto aanwezig
+ Gehele perceel onderheid, met uitzondering van een klein stuk gras voor en naast de garage
+ Veel lichtinval door grote ramen en slimme indeling
+ Privacyvolle, groene achtertuin met volop zon

Een villa als deze – met zoveel ruimte, comfort en een unieke ligging aan het water – komt zelden op de markt. Dit is jouw kans om elke dag te wonen alsof je op vakantie bent!

Situering van Wilnis in Nederland:
Amsterdamse Zuidas - op ± 23 autominuten
Amsterdam Centrum - op ± 32 autominuten
Stadshart Amstelveen - op ± 17 autominuten
Schiphol - op ± 18 autominuten
Utrecht - op ± 23 autominuten
Hilversum - op ± 21 autominuten
Mijdrecht - op ± 3 autominuten
Uithoorn - op ± 7 autominuten
Woerden - op ± 16 autominuten

Interesse in dit huis? Schakel direct uw eigen NVM-aankoopmakelaar in.
Uw NVM-aankoopmakelaar komt op voor uw belang en bespaart u tijd, geld en zorgen.
Adressen van collega NVM-aankoopmakelaars in Utrecht vindt u op Funda.

Wilnis (tussen Mijdrecht en Vinkeveen) ligt geografisch in het centrum van het Groene Hart op 20 autominuten van Amsterdam, Hilversum, Utrecht en Schiphol. Bovendien bent u met 45 minuten in Den Haag, Amersfoort of Alkmaar. Een perfecte ligging in Nederland. Daarbij beschikt Wilnis over verschillende soorten voorzieningen waaronder een gezellig dorpscentrum, sporthal, (sport-)verenigingen, een centraal gelegen winkelcentrum en diverse basisscholen. Wilnis ruim 6.500 inwoners. Wilnis is een woonkern van de gemeente De Ronde Venen. Sinds de laatste herindeling per 1 januari 2011 bestaat de gemeente uit acht dorpskernen. Dat zijn: Abcoude, Amstelhoek, Baambrugge, De Hoef, Mijdrecht, Vinkeveen, Waverveen en Wilnis. De gemeente De Ronde Venen is een groen en waterrijk gebied. Gelegen in het Groene Hart, biedt de gemeente diverse mogelijkheden om te recreëren en te verblijven en te genieten van de rust, de ruimte en de natuur. Enkele kerngegevens van de gemeente vindt u op de website van de provincie Utrecht.

Kenmerken

Zonnepanelen
Air conditioning
Overdracht
Vraagprijs
€ 1.135.000 k.k.
Status
beschikbaar
Aanvaarding
in overleg
Bouw
Soort woonhuis
Villa
Soort bouw
vrijstaande woning
Bouwjaar
2002
Energieklasse
A+
Soort dak
zadeldak
Slaapkamers
7
Badkamers
2
Oppervlakten en inhoud
Woonoppervlakte
217 m2
Overige inpandige ruimte
24 m2
Inhoud
850 m3
Perceeloppervlakte
546 m2
faciliteiten
Mechanische ventilatie
Tv kabel
Buitenzonwering
Airconditioning
Jacuzzi
Rookkanaal
Dakraam
Zonnepanelen
Aan water
Aan rustige weg
Beschutte ligging
Baerz & Co Property Brochure

Brochure

Video’s

Plattegronden

Gerwig Makelaardij

Dannestraat 7
3621 AE Breukelen

info@gerwig.nl
+31 346 26 25 43

www.gerwig.nl

Informatie / bezichtigingsaanvraag

Dirk Gerwig profile image
Dirk Gerwig
Real Estate Agent

Een luxe woning kopen in Wilnis

Wilnis spreekt een internationale gemeenschap van veeleisende bewoners aan, met verfijnde voorzieningen en een rustige leefstijl. Dankzij deskundige begeleiding, exclusief aanbod en cultureel rijke omgeving blijft Wilnis blijvend aantrekkelijk voor hoogwaardige eigenaars en investeerders.